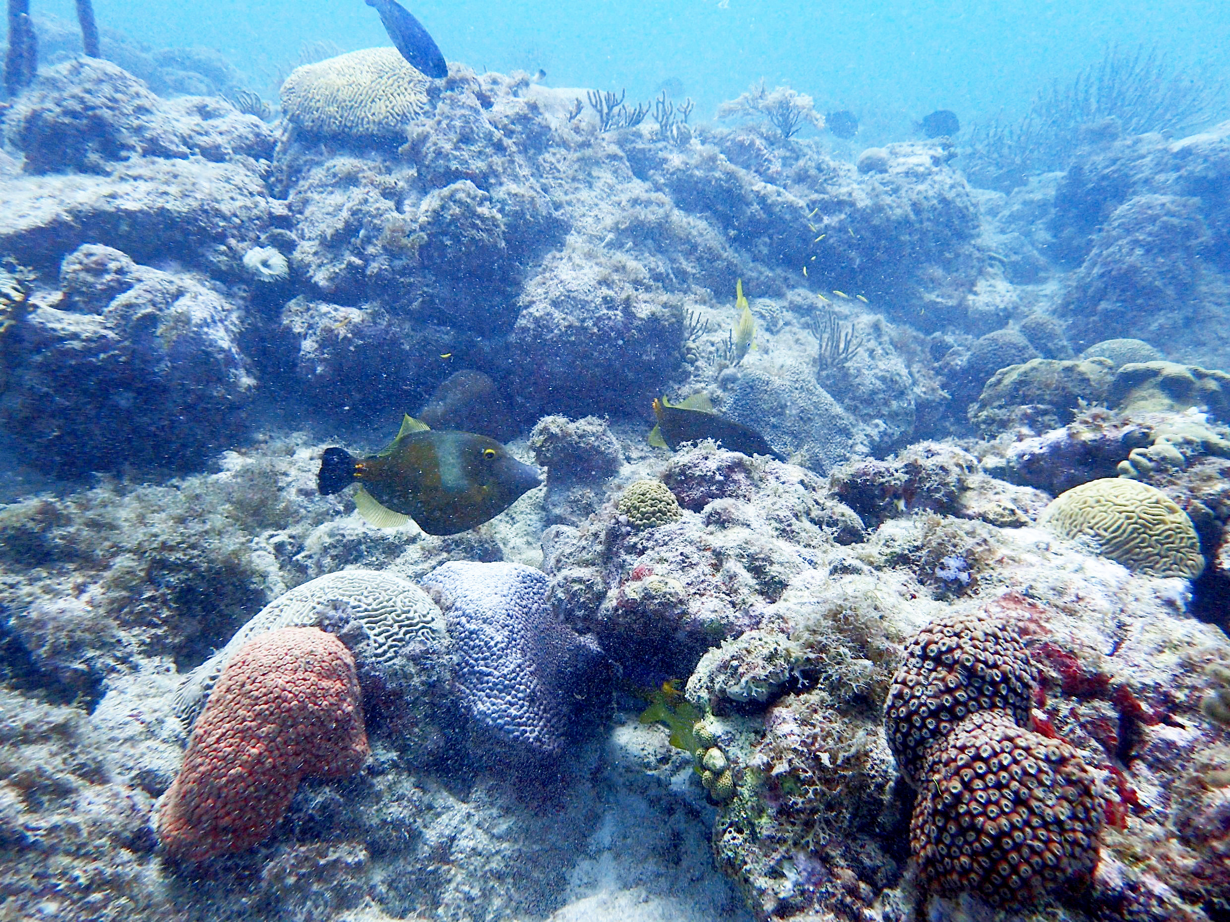
Das Arashi Reef liegt ca. 500 Meter vor der Westküste von Aruba unterhalb des California Lighthouse auf Höhe der Arashi Beach und ist von Oranjestad aus per Boot in ca 15 Minuten zu erreichen. Am Arashi Reef ist ein Strömungstauchgang zu empfehlen.
[wp_geo_map height=180px]
Tauchplatz
Tauchgang: Boot / Anzahl: 1
Tauchplatz: Riff
Taucherfahrung: Anfänger
Tiefe maximal: 13m
Bedingungen
Strömung: stark
Sichtweite: Sehr gut
Wassertemperatur: 29° C
Fischreichtum: sehr hoch























Hinterlasse einen Kommentar